Author Topic: Yangmei (Morella/Myrica rubra) thread  (Read 318245 times)

Sue

  • Member
  • ***
  • Posts: 31
    • San Diego, Ca
    • View Profile
Re: Yangmei (Morella/Myrica rubra) thread
« Reply #1150 on: September 20, 2025, 10:17:42 PM »
That’s awesome! I’m glad I chose to get an Early Hermaphrodite from you. :)

K-Rimes

  • Hero Member
  • *****
  • Posts: 3392
    • Santa Barbara
    • View Profile
Re: Yangmei (Morella/Myrica rubra) thread
« Reply #1151 on: September 23, 2025, 01:21:55 PM »
This in ground Rubra is tearing it up!!



sc4001992

  • Guest
Re: Yangmei (Morella/Myrica rubra) thread
« Reply #1152 on: September 24, 2025, 03:06:16 PM »
Is that a seedling or from the group buy?

I was ready to throw away my dead yangmei in pot from the last buy and one had roots into the dirt from the rootstock so I will leave it alone where it is.

image share
« Last Edit: September 24, 2025, 03:45:30 PM by sc4001992 »

Alippincott

  • Member
  • ***
  • Posts: 150
    • United States, CA, Ventura, 9
    • View Profile
Re: Yangmei (Morella/Myrica rubra) thread
« Reply #1153 on: September 24, 2025, 03:52:50 PM »
This in ground Rubra is tearing it up!!



My in-ground seedlings look similar. They are so tall and floppy. I might top it to make it branch out.

K-Rimes

  • Hero Member
  • *****
  • Posts: 3392
    • Santa Barbara
    • View Profile
Re: Yangmei (Morella/Myrica rubra) thread
« Reply #1154 on: September 24, 2025, 08:25:08 PM »
This in ground Rubra is tearing it up!!



My in-ground seedlings look similar. They are so tall and floppy. I might top it to make it branch out.

You can see it is starting to sprout low with some new branches to balance it out, I will probably stake this up.

simon_grow

  • Hero Member
  • *****
  • Posts: 7037
  • USA, San Diego, CA, Zone 10a
    • View Profile
Re: Yangmei (Morella/Myrica rubra) thread
« Reply #1155 on: September 28, 2025, 02:29:33 PM »
Is that a seedling or from the group buy?

I was ready to throw away my dead yangmei in pot from the last buy and one had roots into the dirt from the rootstock so I will leave it alone where it is.

image share

Looks like it could be a root sucker.

K-Rimes

  • Hero Member
  • *****
  • Posts: 3392
    • Santa Barbara
    • View Profile
Re: Yangmei (Morella/Myrica rubra) thread
« Reply #1156 on: September 28, 2025, 07:26:26 PM »
Despite getting nibbled down to the wood by deer, some more Wandao are coming back or pushing out.







70Malibu

  • Hero Member
  • *****
  • Posts: 596
    • USA, CA, Fullerton, 10B
    • View Profile
Re: Yangmei (Morella/Myrica rubra) thread
« Reply #1157 on: September 28, 2025, 09:46:16 PM »
Simon, yes, it is the rootstock, but at least I might get something to use for future grafting. My purchased 3gallon cerifera plants all are not doing good once I got them. They looked very healthy and bushy, then in 2 weeks, started to decline and now it might die again. Must be my watering schedule, only water it once a week outdoors.


tree_noob

  • Newbie
  • *
  • Posts: 5
    • California
    • View Profile
Re: Yangmei (Morella/Myrica rubra) thread
« Reply #1158 on: November 02, 2025, 10:40:37 PM »
Where do you all get cuttings from? I would like to try my hand at grafting but scion material (naturally) seems hard to find.

K-Rimes

  • Hero Member
  • *****
  • Posts: 3392
    • Santa Barbara
    • View Profile
Re: Yangmei (Morella/Myrica rubra) thread
« Reply #1159 on: November 04, 2025, 04:33:40 PM »
Oddly I have germinated seeds from this year's batch of fruit from CalMei. I always thought they needed the winter to cold stratify, but I guess not? Didn't crack the seeds nor even clean them, just spat them out into a pot of old soil.

ScottR

  • Hero Member
  • *****
  • Posts: 2539
    • USA,Arroyo Grande,Calif. 93420,zone 9b
    • View Profile
Re: Yangmei (Morella/Myrica rubra) thread
« Reply #1160 on: November 04, 2025, 06:53:14 PM »
seedling looks really good Kevin, must like the soil there! And for the seeds must be your spit :D

brad

  • Member
  • ***
  • Posts: 131
    • USA, CA, San Jose, Zone 9b
    • View Profile
Re: Yangmei (Morella/Myrica rubra) thread
« Reply #1161 on: November 04, 2025, 10:55:58 PM »
Where do you all get cuttings from? I would like to try my hand at grafting but scion material (naturally) seems hard to find.

Check Facebook marketplace for local vendors.  There were a couple people selling scions in the Bay Area this year.

70Malibu

  • Hero Member
  • *****
  • Posts: 596
    • USA, CA, Fullerton, 10B
    • View Profile
Re: Yangmei (Morella/Myrica rubra) thread
« Reply #1162 on: November 08, 2025, 07:02:43 PM »
There should be many more people selling scions next year when their trees get larger. All my trees are dead, so I need to graft scions, hope a few take.

roblack

  • Hero Member
  • *****
  • Posts: 3980
    • Miami, FL 11A
    • View Profile
Re: Yangmei (Morella/Myrica rubra) thread
« Reply #1163 on: November 11, 2025, 04:51:50 PM »
All of my trees on m. rubra are now dead or dying. Some of them lasted a few years. The slightest of stress sends them into a death spiral. The latest casualty occurred after taking budwood. Tree looked happy and established, now brown dry dead leaves adorn the branches. I am of the strong opinion that these must be grafted onto something other than rubra, if grown in FL, maybe anywhere out of their native habitat. 

K-Rimes

  • Hero Member
  • *****
  • Posts: 3392
    • Santa Barbara
    • View Profile
Re: Yangmei (Morella/Myrica rubra) thread
« Reply #1164 on: November 12, 2025, 02:50:23 PM »
Some of my ceriferas also randomly died. Mostly when I had failed rubra grafts on them, but a few just up and died all on their own for no particular reason.

Cerifera is certainly the best of the bunch, but even then it's not a sure thing. The in ground Rubra is one of my only "great" growers and it leads me to believe that pot culture is not nearly as safe as in ground. I think the genus in general is highly sensitive to root zone pathogens and those are much more prevalent in potting soil mediums. High quantities of sand, stone, mineral, etc to ensure that there is minimal organic matter seems to be a reasonable solution and where I am thinking of going for potted myricas.

tree_noob

  • Newbie
  • *
  • Posts: 5
    • California
    • View Profile
Re: Yangmei (Morella/Myrica rubra) thread
« Reply #1165 on: November 13, 2025, 10:07:30 PM »
Thanks all. will be patient. good luck to everyone!

fishie

  • Member
  • ***
  • Posts: 205
    • USA, CA, Diamond Bar
    • View Profile
    • Grows Gone Wild
Re: Yangmei (Morella/Myrica rubra) thread
« Reply #1166 on: November 14, 2025, 01:35:37 PM »
Some of my ceriferas also randomly died. Mostly when I had failed rubra grafts on them, but a few just up and died all on their own for no particular reason.

Cerifera is certainly the best of the bunch, but even then it's not a sure thing. The in ground Rubra is one of my only "great" growers and it leads me to believe that pot culture is not nearly as safe as in ground. I think the genus in general is highly sensitive to root zone pathogens and those are much more prevalent in potting soil mediums. High quantities of sand, stone, mineral, etc to ensure that there is minimal organic matter seems to be a reasonable solution and where I am thinking of going for potted myricas.

I agree on the mineral based soils and root zone pathogens. Doing a video on my yangmei in pots soon ;D. 4.5 are still alive from the group buy, but I have some a year older in 15gs and doing well after up potting.

70Malibu

  • Hero Member
  • *****
  • Posts: 596
    • USA, CA, Fullerton, 10B
    • View Profile
Re: Yangmei (Morella/Myrica rubra) thread
« Reply #1167 on: November 14, 2025, 04:26:35 PM »
All of my group order yangmei are dead now. I agree Kevin, I purchase 2-3 larger cerifera in 3 gallon pots, mail order. They all died on me in 3 months. Even the smaller cerifera from Etsy all died, almost like the bare root yangmei, dies when it feels like it. I better just plant all my seeds from the fresh fruit orders.

Alippincott

  • Member
  • ***
  • Posts: 150
    • United States, CA, Ventura, 9
    • View Profile
Re: Yangmei (Morella/Myrica rubra) thread
« Reply #1168 on: November 14, 2025, 05:59:04 PM »
All of my group order yangmei are dead now. I agree Kevin, I purchase 2-3 larger cerifera in 3 gallon pots, mail order. They all died on me in 3 months. Even the smaller cerifera from Etsy all died, almost like the bare root yangmei, dies when it feels like it. I better just plant all my seeds from the fresh fruit orders.

All mine are seed grown. Got 20 or so growing, now about 2 feet high. I've lost way too much on grafted trees.

nattyfroootz

  • Hero Member
  • *****
  • Posts: 701
    • Santa Cruz California
    • View Profile
Re: Yangmei (Morella/Myrica rubra) thread
« Reply #1169 on: November 15, 2025, 10:23:33 AM »
I've got 1 yangmei from the group orders in the ground and its blowing up!! I haven't had any sudden death of any yangmei in the ground, wonder if I'm just in an ideal climate for em. 
Grow cooler fruits

www.wildlandsplants.com

K-Rimes

  • Hero Member
  • *****
  • Posts: 3392
    • Santa Barbara
    • View Profile
Re: Yangmei (Morella/Myrica rubra) thread
« Reply #1170 on: November 15, 2025, 12:46:14 PM »
I've got 1 yangmei from the group orders in the ground and its blowing up!! I haven't had any sudden death of any yangmei in the ground, wonder if I'm just in an ideal climate for em.

The one I have planted in ground is looking mint. Another grower in the 805 has a massive one in ground, like 8' tall, 6' wide, and has never had an issue with it.

It seems that they're way more amenable to being in ground, at least if drainage is sufficient. The ranch soil mine is in has fabulous drainage.

Luisport

  • Hero Member
  • *****
  • Posts: 3486
  • New in tropical fruit growing!
    • Fatima, Portugal
    • View Profile
Re: Yangmei (Morella/Myrica rubra) thread
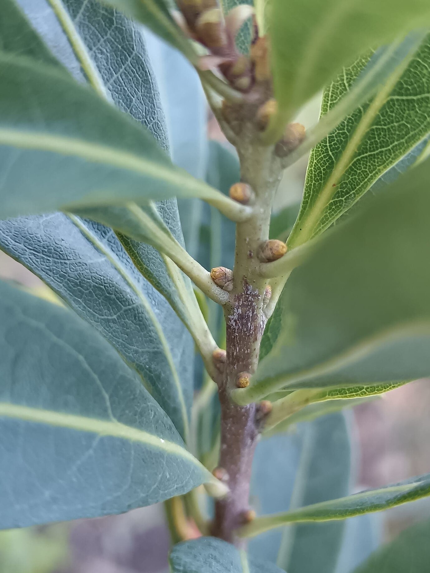
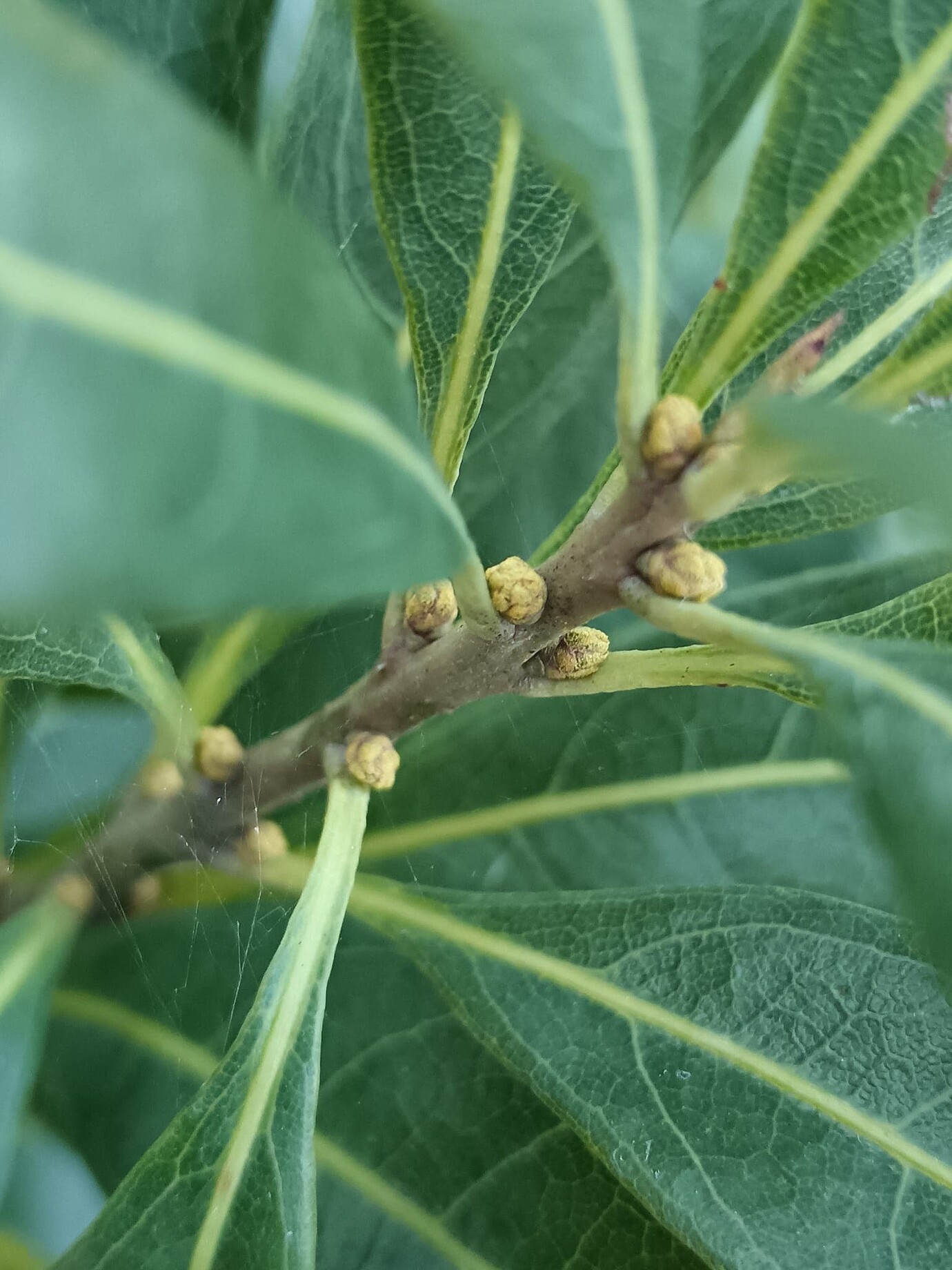
« Reply #1171 on: November 27, 2025, 11:29:46 AM »
Are this the first flower buds on my Yangmeis?










« Last Edit: December 01, 2025, 10:07:31 AM by Luisport »


poopsiedaisy

  • Member
  • ***
  • Posts: 28
    • 10b
    • View Profile
Re: Yangmei (Morella/Myrica rubra) thread
« Reply #1173 on: December 05, 2025, 04:52:45 PM »
Trying to decide final spot to put in ground. Would anyone happen to know if yangmei can thrive in part sun?

K-Rimes

  • Hero Member
  • *****
  • Posts: 3392
    • Santa Barbara
    • View Profile
Re: Yangmei (Morella/Myrica rubra) thread
« Reply #1174 on: December 05, 2025, 06:07:41 PM »
Trying to decide final spot to put in ground. Would anyone happen to know if yangmei can thrive in part sun?

I have mine in full sun, does well. I think they would prefer full sun, as most fruit trees do, but they'll survive and I am sure produce in part shade as well.